Chardon Planning Commission once again pushed back approval of concept plans for a school bus garage on Washington Street at a special meeting June 11, citing an insufficient traffic study for their hesitation.
Chardon Planning Commission once again pushed back approval of concept plans for a school bus garage on Washington Street at a special meeting June 11, citing an insufficient traffic study for their hesitation.
“There were some outstanding items with planning commission at the last meeting,” Community Development Administrator Steve Yaney said, recapping how the commission had approved seven of eight requested variances and rejected a variance asking to waive a requirement for 5% of the parking lot to be landscaped.
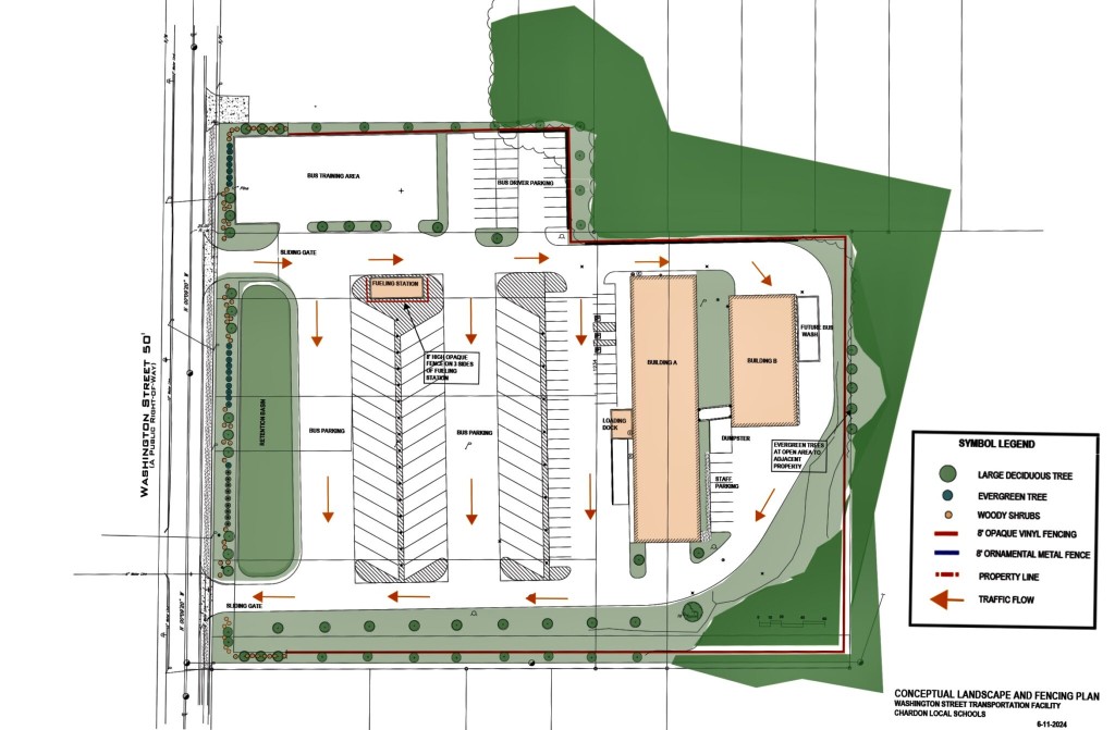
Outstanding items were the photometric (lighting) plan — which Yaney deemed in order — the landscaping and the traffic impact study.
“We did receive what I would classify as an executive summary of traffic canals,” City Engineer Doug Courtney said.
The study, which was reviewed by traffic engineer Kevin Westbrooks, did not contain enough background data and background calculations, Courtney said. As such, Westbrooks was unable to verify the conclusions.
“In their response letter, ThenDesign indicated that a full version of that traffic study is forthcoming,” Courtney said. “I’m not sure when that will be here, but we’ve had that discussion with them, as well, that we need a full traffic impact study with time to review it before the next meeting.”
Both commission Chair Andrew Blackley and Courtney agreed the applicant had not met the requirement to provide an acceptable traffic impact study.
The commission briefly discussed the contents of what they had been given.
“Some turn lanes might be required, especially at Fifth (Avenue) and North Street,” Blackley said. “Another solution there would be to put a traffic signal at Fifth and North at some point in the future.”
Another solution could be to put in stop signs.
“The other interesting thing that did come up was that much of the impact of traffic, of the existing traffic network as it is today, appears to be due to morning and afternoon traffic traveling to the school,” Blackley said, noting the intersection at Fifth and North is currently running lower service than normal.
“This impact of adding additional buses there might have some additional degradation, as well,” he said.
Westbrooks had said he did not receive a copy of the bus transportation plan, Blackley added.
“We have all the bus data from the district that we forwarded to our traffic engineers, so they took those into account,” said Jeff Henderson, of ThenDesign Architecture. “I didn’t know I would need to distribute it to everybody.”
Blackley said he was not ready to approve the concept plans without an acceptable traffic analysis.
Henderson confirmed one can be submitted in time for it to be reviewed before the regular meeting June 25.
Landscaping Updates
In terms of landscaping, the commission previously approved a variance waiving a requirement for end islands in the parking area with the understanding there would be further landscaping to make up for it, Yaney said.
“Kind of the direction that was given would be to try and beef up the landscaped areas around the outside edges of the parking lot,” he said.
With this direction, an additional 14 trees would be installed along the islands on the north side of the parking lot and along the south row of the drive aisle south of the parking field. Yaney said landscaping on the south side would prove challenging as that is also where snow will be piled in the winter.
Commission members expressed confusion regarding the 5% landscaping requirement.
“My interpretation of the regulation is that the impervious areas of the parking lot would be reduced by 5% and replaced with landscaping,” Blackley said. “I don’t see that that’s been done.”
“It has not,” Yaney replied, adding at the previous meeting, several commission members indicated they would be fine with additional landscaping along the edges rather than islands in the middle.
Blackley responded the requirement was for 5% landscaping in the parking area.
“Five percent landscaping or doing landscaping outside of the parking area would not reduce the impervious pavement,” he said. “To me, it is not in compliance with (the) 5% landscaping (requirement) in the parking lot.”
Vice Chair Mary Jo Stark said she would be fine with landscaping along the edges rather than in central islands, as the buses may damage the trees.
“I feel if we waive (the 5% landscaping) requirement, the applicant should be accommodating and provide that 5% or more elsewhere,” she said.
The question of whether or not the parking area could even be considered a parking lot or vehicle storage area was also raised.
“An outdoor vehicle storage area … does not have the landscape requirement interior to it if it’s enclosed, screened on all four sides,” Yaney explained.
While the Washington Street property would not be a public parking lot — such as the ones at Walmart or Home Depot — it is also not fully enclosed, lacking a solid screen wall along one side, he said.
“There’s some very unique characteristics to this parking area that aren’t really present in anything else we have in the city,” Yaney concluded.
Blackey asked Stark if she was satisfied with the firm’s proposal to add additional trees and landscaping to the south side of the parking area and she responded she would like to see a few more trees added.
Following lengthy discussion, the commission agreed a change to the pattern the trees would be planted in would accommodate an additional four more on the south side.
While a motion was not made regarding the parking lot islands, the commission members agreed to the additional landscaping.
The commission voted to table approval of the concept plans in anticipation of the traffic analysis.









